Gromatici Land Surveying, Inc - Los Olivos * Goleta * Atascadero Eric J. Ackerman, PLS CFedS - Owner 805-691-9112 eackerman@gromatici.com
Gromatici Land Surveying, Inc  -  Los Olivos * Goleta * AtascaderoEric J. Ackerman, PLS CFedS - Owner805-691-9112  eackerman@gromatici.com

Our Residential Services

A parcel of land can be like a finger print.  Some older tracts of land take more time to gather the evidence necessary to properly and ethically establish the true and exact property corners.  Other, newer tracts of land are more straitforward.  Eric has over 20 years of boundary expereince from large Rancho's (Literal Mexican Land Grants) and small urban surveys. 

We particularly specialize in:

  • Difficult Boundary Surveys
  • GPS Boundary Surveys for large Ranches
  • Topographic Survey / Mapping for Architectural and Engineering Support
  • FEMA Elevation Certificates and LOMA's.
  • Legal Descriptions
  • Tentative Mapping / Final Mapping
  • Lot Line Adjustments
  • Lot Splits

 

Our experience includes:

  • Condominium Conversions
  • New Constuction
  • Remodels
  • Large Subdivision Mapping and Construction Support
  • Tentative Mapping/Parcel Mapping
  • Simgle Family Homes
  • Fencing Surveys
  • Setback Verification
  • Height Certification

 

 

Ventura Land Surveys

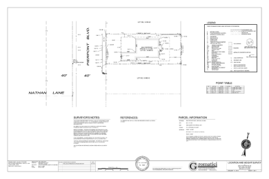
Gromatici Land Surveying, Inc. performed topographic mapping and Hieght surveys in Ventura.  To the left is an example of one we did in Ventura.  This was also a complete boundary survey in Ventura.

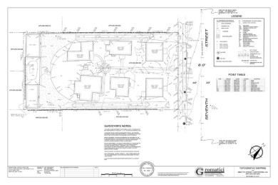
Carpinteria Land Surveying

Gromatici performed a topographic base map for a proposed rental unit in Carpinteria.  The survey in Carpinteria allowed the developer to tear down the dilapidated units and replace them with new units that fit into the surrounding.  Gromatici provided a setback survey, PAD Certification, and complete boundary survey that also resulted in a Record of Survey being filed with the County Surveyor's Office. 

 

City of Carpinteria. 

Montecito Land Surveyor

Easement Exhibit and Boundary Survey in Montecito

Eric specializes in difficult boundary and easement surveys.  Although the boundary for this project was straightforward, the heirs of the trust were land rich and money poor.  The budget to show all the property corners was a serious concern.  We used GPS with a virtual base station to do RTK GPS surveying and used our Robotic instrument to operate under the tree canopies.  THis allowed us to stay under our proposed budget for the boundary survey in Montecito. 

 

The client also had a easement issue to to a poorly written legal description.  This may have been due to the owner writing it, or an attorney who did not think the surveyor was needed (but now costs much more to fix it!).  We prepared an exhibit showing the location we believed to be the most accurate interpretation of the legal description by Geo-references the boundary and the sketched-in proposed access easement. 

 

This survey was done to facilitate the sale of the two properties.  The real estate agent used our exhibits to show the prospective buyers the corner we found and some we set.  All points we set has a brass cap and were set in concrete vs. a re-bar with a 25 cent plastic cap like many local survey companies use.

 

Montecito, CA

 

 

 

 

 

 

 

 

 

 

 

 

Eric J. Ackerman, PLS is a Certified Federal Surveyor No. 1609. 

 

Eric is licensed in California, Arizona, Idaho, Nevada, and Colorado.

 

CA LS 8226

AZ RLS 69068

ID PLS 18767

NV PLS 26941

CO PLS 38714

UT PLS 2201

 

Licensed Drone Pilot

 

ALTA Surveys

Elevation Certificates/ Flood

Contact Us

To contact us, just call

(805) 691-9112 or complete the

Contact Form.

 

email: proposals@gromatici.com

 

Los Olivos:  805-691-9112

2432 Railway Ave., Suite I

Los Olivos, CA 93441

 

Santa Barbara:  805-845-2133

 

Atacadero:  805-464-2592

 

Current Projects

Click here to find out what projects we are currently working on.

Helpful Links

Links to research and information.  Click here

Member of the Arizona Professional Land Surveyor's Association.  

http://www.azpls.org/index.html
CLSA Member

 

 

 

 

Member of the Santa Barbara Contractor's Association.

Gromatici Land Surveying

Promote Your Page Too

Recommend this page on:

Print | Sitemap
© Gromatici

This website was created using IONOS MyWebsite. Land Surveyor, Land Surveying, Santa Barbara, Carpinteria, Ojai, Ventura, Santa Ynez, Los Olivos, Buellton, Solvang, Santa Maria, Oxnard, Thousand Oaks, Los Angeles